オリンパスの頑丈&防水カメラ「Tough TG-6」を持って、シュノーケリングに行ってきました。何枚か、リサイズのみの画像と動画をアップしてみます。
[clink url=”https://ogsan.me/tough-tg-6_1/”]海についた時間が干潮のタイミングだったので、遠浅の海を歩いて沖に向かいます。オートでの撮影、シャッタースピードは1/1,000でした。色は記憶色に近いです。









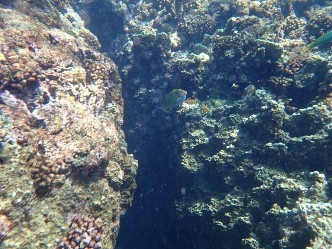
撮影したポイントは水深3mくらいまでになりますが、水中モードでの撮影でホワイトバランスは概ね良好じゃないかと思います。
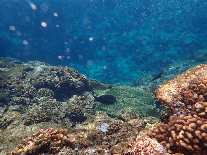
水中HDRモード
こちらは、水中HDRで撮ったものですが、珊瑚と魚に程よく光が当たっているような写真になりました。ただ、「非現実感」はあまりなくて、こんなもんかなぁ、という印象です。



手前に珊瑚があったりすると、必要以上に赤く出ちゃっていますね。こういう場合はHDRではない方が良さそうです。
この日はいい天気ではありつつも、波が高く…

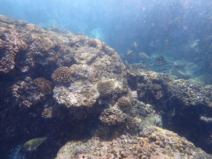
浅いところでは、波にさらわれ、珊瑚礁にぶつかるような危険な状況になりそうだったので、早めに退散し、手前の穏やかなところに場所を移して、水中マクロでの撮影をしてみました。
水中マクロでの撮影







魚との距離を一定に保てれば、結構ピントが合うなぁ、といった印象でした。TG-2の場合はもっとピントがあって写真を撮るのが難しかったもんなぁ。
オリンパス Tough TG-6で水中ムービー撮影
動画も録ってみました。特に設定をいじらずに録画したので、撮影サイズは1920×1080、フレームレートは30pです。
こちらはウミガメ、4K(3840×2160)、フレームレートは30pの動画です。
ということで、撮りたいものがしっかりと撮れた、という印象のTG-6でした。
次は月末にフィッシュアイコンバーターが届くので、それをつけての写真撮影、4K動画撮影をしてみようと思います。どんな感じの写真が撮れるのか、楽しみです!
[clink url=”https://ogsan.me/tough-tg-6_3/”]【関連リンク】
OLYMPUS Tough TG-6(公式ページ)

