すでに後継機が出ている OLYMPUS STYLUS TG-2 Tough ですが、後継機である TG-3 もそんなに変わらないだろうってことで水中写真のレビューをしてみたいと思います。
ちなみに TG-2 と TG-3 の大きな違いですが、スペック的には、
1200万画素 → 1600万画素
3.0型有機ELモニター/61万ドット → 3.0型カラー液晶/約46万ドット
くらいでしょうか。詳しくはこちらで比較できます。
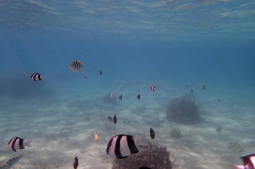
写真は全てjpg 撮って出しのものです。まずは普通の海での写真から。
空や海の青が結構強烈に出てくる印象です。
海の中は水深15mまで裸で持って行けます。レンズはF2.0 と明るいですが、やはり太陽の光が届かなくなってくると心もとないですし…
水の透明度が低いとどうしようもないです。これはカメラ関係ないですね。
水中でも発色がいい感じですが…
結構濃くなって、色がつぶれちゃうようなことも時々あります。
水中モードで撮っていてもホワイトバランスがコケることが結構ある印象です。
魚に赤みがかかっているのは仕方がないのかなぁ。
こちらはダイビングで10mくらい潜った時にサメがいたので撮ったんですが、LED発光機能とか、事前にチェックしておかないとこうなります。
水中マクロは体勢を固定しづらいシュノーケリングではあまり使わないです。
で、カメラの性能以上に思うのは、撮る人の性能というか… 僕はシュノーケリングで潜るのが上手じゃないので、クマノミを見つけてもこんな感じで上からしか撮れず、被写体を活かせませんが…
同じポイントでもインストラクターの人が撮るとこうなります。真正面。
水中の魚や亀の写真って、被写体と同じ高さから撮らないとなかなかいい写真にならないというか… となると、まずは潜る人のスペック強化が大事だったりするのかなぁ、なんてことも思った次第です。
体勢が安定しやすいダイビングだったら、LEDやライトを発光させる機能をしっかりと覚えておいて、焦らずに撮影すればOKじゃないかと思います。
ってことで、タフカメラは富士フィルムやリコーもニコンもありますが、明るいレンズ+スーパーマクロが楽しいSTYLUS TG-3 Toughでいいんじゃないかと思います。
あ、動画に関しては、こだわるなら GoPro を買った方がいいと思いますけども…













